主页 > 酒店买卖 > 产权出售 > 酒店+公寓 江苏连云港地产2021
酒店+公寓 江苏连云港地产2021
编号:
价格:
建筑面积:酒店8000+公寓7000
客房数量:酒店建筑面积8000
开业时间:预计23年底
目前状态:在建
地区:江苏省
租金:面谈
规模:未知
星级:五星级
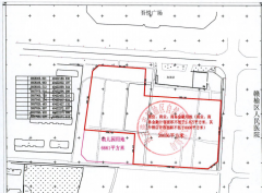
项目位于连云港赣榆区 吾悦广场正南面,位于赣榆新城核心地段;周边集吃喝玩乐于一体,道路交通便捷,商业氛围片区最佳。地块于21年5月摘取。现面向社会寻找合作伙伴


联系酒店顾问买卖租赁网站:010 65260915,18911173283

详情咨询

*您的姓名: 小于等于20个字符(包括A-Z、a-z、0-9、汉字、不含特殊字符)
*联系邮箱: 示例:example@mail.com
*联系电话: 小于等于32个字符(包含0-9、.、(、)、顿号)
 联系地址:
*验 证 码 : 看不清?点击更换 看不清?
*内容:   

     
返回列表

热门推荐